Uragano Melissa, continua l’impegno delle chiese

A dieci giorni dalla distruzione che ha colpito la Giamaica, la nazione è ancora in ginocchio

 

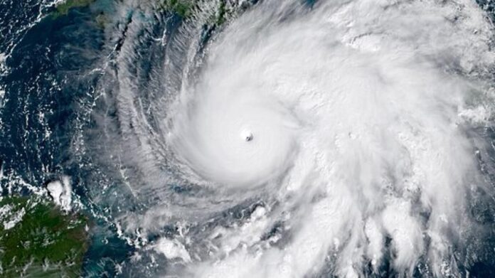
L’uragano Melissa si è abbattuto sulla Giamaica il 28 ottobre 2025 come tempesta di categoria 5, l’uragano più forte mai registrato nella zona. Al 30 ottobre, la maggior parte dell’isola è senza elettricità, telecomunicazioni e altri servizi di base. 13.000 persone in Giamaica sono nei rifugi e il numero delle vittime (le fonti parlano di diverse decine) è solo provvisorio.

L’uragano Melissa ha poi colpito Cuba come tempesta di categoria 3 portando ingenti inondazioni e danni causati dal vento in tutta la parte sud-orientale del paese.

Ad Haiti, significative mareggiate hanno causato gravi inondazioni e frane. Le autorità di Haiti riportano 25 vittime.

 

Come riporta l’agenzia stampa Nev – Notizie Evangeliche la Chiesa unita di Cristo negli Stati Uniti (Ucc) ha lanciato un appello per sostenere i bisogni immediati e a lungo termine delle comunità colpite in tutta la regione: riparo, acqua potabile sicura, servizi igienico-sanitari, assistenza sanitaria e cibo. Ricordando, inoltre, la necessità di sostegno a lungo termine per la ricostruzione delle case, il recupero dei mezzi di sussistenza e il ripristino dei servizi comunitari.

 

Sono già in azione ACT Alliance e il Church World Service. Attraverso Global Ministries, inoltre, l’UCC è in contatto con i partner in Giamaica, Cuba e Haiti per accompagnare e sostenere i soccorsi.

 

«La parola disastro non è sufficiente a descrivere la portata della distruzione lasciata dall’uragano Melissa in Giamaica». Lo ha affermato il pastore Glen Samuels, presidente della Federazione delle chiese avventiste della Giamaica occidentale nel servizio del portale Hopemedia, davanti alle macerie degli edifici ecclesiali cinque giorni dopo il passaggio della tempesta.
«Ho vissuto Gilbert» ha detto riferendosi all’uragano del 1988, impresso nella memoria dei giamaicani per la distruzione che ha causato «ma Gilbert è stato niente in confronto a questo».

Melissa ha raso al suolo case e edifici, distrutto infrastrutture e isolando intere comunità, rimaste senza energia elettrica né comunicazioni. Tra le decine di morti, è stato confermato il decesso di cinque membri di chiesa avventista nella parte ovest del Paese.

 

«Questa è una delle crisi più strazianti che abbiamo affrontato», ha affermato Everett Brown, presidente dell’Unione avventista giamaicana «Non abbiamo mai visto nulla del genere nella nostra generazione. I bisogni più grandi in questo momento sono cibo, acqua e un alloggio almeno provvisorio».

«Prima dell’uragano» -ha continuato- avevamo stoccato generi alimentari per un valore di mezzo milione di dollari giamaicani nelle cinque sedi delle Federazioni avventiste, e, subito dopo l’uragano, ADRA (l’agenzia umanitaria avventista) e l’Unione hanno cominciato a distribuire i rifornimenti»

Oltre 150 chiese avventiste hanno riportato danni significativi in tutta l’isola, in particolare a St. Elizabeth, St. Mary e Westmoreland. Quasi 200.000 membri sono stati colpiti, degli oltre 340.000 avventisti del settimo giorno presenti  in Giamaica.

«Abbiamo in programma una massiccia distribuzione di cibo e acqua anche questa settimana» ha aggiunto Brown. «Molte persone hanno fame, dormono su materassi bagnati e non hanno nessun altro posto dove andare».